Voici un extrait gratuit du guide de construction :
[texte]
1. Qu’appelle-t-on documents graphiques ?
Les document graphiques sont également appelés [trou]" plans de construction"[texte]
2. Qu’appelle-t-on pièces écrite ?
Ce sont [trou]"les devis et autres documents écrits"[texte]
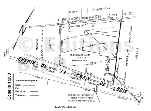
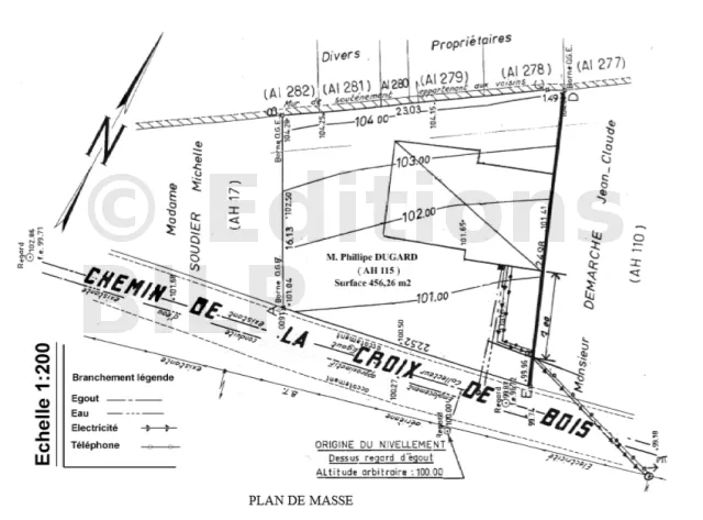
3. Quels sont les éléments apportés par le plan de masse de la propriété DUGARD ?
- L’identité des voisins (Est et Ouest) : [trou]"Soudier et Demarche"[texte].
- La surface du terrain : [trou]"456,26 m²"[texte].
- Les numéros cadastraux ou de lots : [trou]"AH 115"[texte].
- La rue d’accès : [trou]"Chemin de la croix de bois"[texte]
[...]....Il y a une suite !
Pour lire la suite de l'article, devenez Membre
- Ainsi vous découvrirez :
- Et de nombreuses illustrations haute-définition :
- mais aussi le téléchargement du guide au format PDF, l’accès au forum pour échanger avec tous les membres ABC Maçonnerie et les collaborateurs du site, les outils de calculs etc. etc.
Pour devenir membre et lire ce tome en particulier
Il vous suffit d’acquérir ce guide :
Pour plus de contenu
Vous pouvez acquérir un de nos PACKS regroupant plusieurs ou la totalité des guides ou tomes et des cours :









